| Tin tức về: |
| Thứ Tư, 15/04/2026 - 13:35 | |
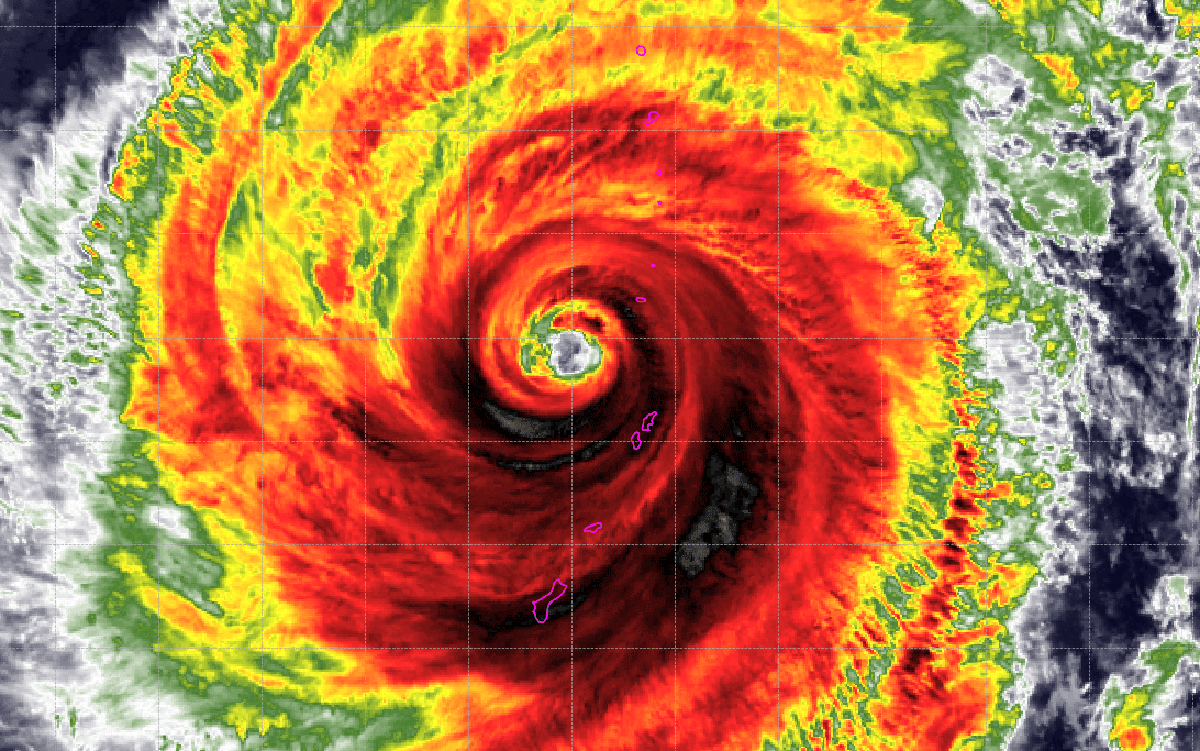
| Dự báo mới nhất về siêu bão Sinlaku | |
| Sau khi quét qua quần đảo Bắc Mariana, siêu bão Sinlaku đã suy yếu xuống cấp 15 (tương đương gió 167-183km/h). Dự báo bão tiếp tục đi lên phía bắc nên không có tác động gì đến thời tiết của Biển Đông của nước ta....Xem tiếp>>> | |
| Tin tức mới nhất về Hoàng Sa>>> Du lịch Hoàng Sa>>> | |
Tin tức mới nhất về Hoàng Sa
- Bão và áp thấp nhiệt đới có thể hoạt động nhiều hơn trong ba tháng tới 1 ngày trước
- Dự báo mới nhất về siêu bão Sinlaku 4 ngày trước
- Siêu bão Sinlaku đổi hướng, liệu có vào Biển Đông? 6 ngày trước
- Bão Sinlaku dự báo mạnh lên cấp “siêu bão“, có vào Biển Đông? 6 ngày trước
- Xuất hiện áp thấp nhiệt đới dự báo mạnh lên thành bão, có vào Biển Đông? 10 ngày trước
- Nước duy nhất Đông Nam Á bị chia thành hai phần riêng biệt bởi Biển Đông? 12 ngày trước
- Phạt doanh nghiệp in hàng ngàn áo phông thiếu Hoàng Sa, Trường Sa 16 ngày trước
- Đề xuất kết nối loạt cầu qua kênh Nhiêu Lộc với hai đường Trường Sa - Hoàng Sa 18 ngày trước
- TP.HCM tính làm cầu nhánh từ Hoàng Sa, Trường Sa lên các cầu chính ngang kênh Nhiêu Lộc giảm ùn tắc 18 ngày trước
- Tông trụ đèn, 2 thanh niên tử vong 1 tháng trước
Tin tức về Xã Hội
- CLIP lời khai người đứng sau hàng loạt công ty vừa bị Công an TPHCM bắt 22 phút trước
- Bắt kẻ trộm xe máy cùng giỏ chứa hàng của shipper ở phường An Hội Tây 39 phút trước
- 27 trường đại học tham gia Liên hoan sinh viên kiến trúc tại TP.HCM 39 phút trước
- Chủng lở mồm long móng mới xuất hiện ở Trung Quốc, nguy cơ xâm nhập vào Việt Nam 39 phút trước
- Quảng Ngãi 'phổ cập' năng lượng nguyên tử cho người dân hiểu để ứng dụng vào cuộc sống 39 phút trước
- Nhà gỗ ở trung tâm Đà Lạt bốc cháy ngùn ngụt, khói bao trùm khu dân cư 44 phút trước
- Điều tra bổ sung vụ án Mr Pips lừa đảo 52 phút trước
- Manh mối từ người chăn bò giúp tìm thấy 24 liệt sĩ dưới hang sâu 1 giờ trước
- “Ký ức vàng“ về cầu Mỹ Thuận sau 26 năm khiến cộng đồng mạng xúc động 1 giờ trước
- Chủ tịch Hà Nội yêu cầu hoàn thành 5 km đường 70 trong năm 1 giờ trước