| Tin tức về: |
| Thứ Hai, 13/04/2026 - 04:00 | |
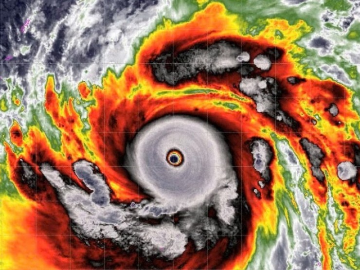
| Siêu bão Sinlaku đang mạnh nhất thế giới năm 2026 | |
| Tối 12/4, bão Sinlaku đang hoạt động ngoài khơi xa của Philippines đã mạnh lên thành siêu bão, trở thành cơn bão mạnh nhất thế giới từ đầu năm 2026....Xem tiếp>>> | |
| Tin tức mới nhất về Philippines>>> Du lịch Philippines>>> | |
Tin tức mới nhất về Philippines
- Siêu bão Sinlaku đang mạnh nhất thế giới năm 2026 12 giờ trước
- Philippines dừng ưu đãi ôtô xăng, mở đường cho kỷ nguyên xe điện 1 ngày trước
- Đánh bắt cá ngừ đại dương trái phép, thuyền trưởng bị phạt tù 3 ngày trước
- Cứu nạn thuyền viên Philippines gặp nạn trên hành trình qua vùng biển Việt Nam 3 ngày trước
- Người đẹp bị ghét nhất Philippines thi Hoa hậu Hòa bình 5 ngày trước
- Hoa hậu Hương Giang được dự đoán giành vương miện mùa giải MGI All Stars 7 ngày trước
- Tàu mang cờ Philippines 'được Iran cho phép' đi qua eo biển Hormuz 10 ngày trước
- Người đẹp tai tiếng nhất Hoa hậu Hoàn vũ Philippines 10 ngày trước
- Thêm Philippines được qua eo Hormuz, Iran mời các nước có nhu cầu tham gia thỏa thuận 10 ngày trước
- Khách Việt trải nghiệm bơi cạnh loài cá lớn nhất hành tinh 11 ngày trước
Tin tức về Xã Hội
- Vượt đèn đỏ nơi giao nhau đường sắt, cô gái bị phạt 5 triệu, tước GPLX 2 tháng 34 phút trước
- Nhiều doanh nghiệp chậm đóng bảo hiểm xã hội, nợ gần 900 tỉ đồng, vì sao? 55 phút trước
- Ấn Độ: Delhi công bố chính sách xe điện táo bạo, muốn ngừng đăng ký xe máy xăng 55 phút trước
- Người Việt trong nhóm chi tiêu lạc quan nhất châu Á 55 phút trước
- Mỏ vàng 21 tỉ bảng Anh và cuộc chiến chia rẽ cả cộng đồng Bắc Ireland 55 phút trước
- Vì sao cầu Châu Đốc và cầu Cồn Tiên tối thui nhiều tháng qua? 55 phút trước
- Tàu cao tốc Hà Nội - Quảng Ninh sử dụng công nghệ động lực phân tán 1 giờ trước
- Bà Nguyễn Thị Ngọc Xuân làm Chủ tịch Hội Liên hiệp phụ nữ TP.HCM 1 giờ trước
- Lập cộng đồng giữ mạch sống xanh cho dòng sông Cu Đê Đà Nẵng 1 giờ trước
- Đồng lương hưu ít ỏi và nỗi lo của người cao tuổi 1 giờ trước