| Tin tức về: |
| Thứ Hai, 13/04/2026 - 08:50 | |
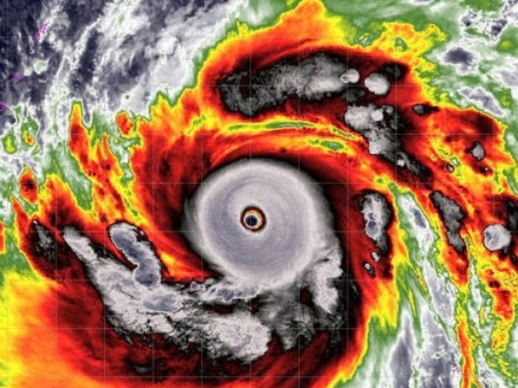
| Siêu bão Sinlaku đổi hướng, liệu có vào Biển Đông? | |
| Cơ quan khí tượng đưa ra nhận định về đường đi của siêu bão Sinlaku, đồng thời dự báo xác suất siêu bão đi vào Biển Đông....Xem tiếp>>> | |
| Tin tức mới nhất về Hoàng Sa>>> Du lịch Hoàng Sa>>> | |
Tin tức mới nhất về Hoàng Sa
- Siêu bão Sinlaku đổi hướng, liệu có vào Biển Đông? 1 ngày trước
- Bão Sinlaku dự báo mạnh lên cấp “siêu bão“, có vào Biển Đông? 2 ngày trước
- Xuất hiện áp thấp nhiệt đới dự báo mạnh lên thành bão, có vào Biển Đông? 5 ngày trước
- Nước duy nhất Đông Nam Á bị chia thành hai phần riêng biệt bởi Biển Đông? 7 ngày trước
- Phạt doanh nghiệp in hàng ngàn áo phông thiếu Hoàng Sa, Trường Sa 12 ngày trước
- Đề xuất kết nối loạt cầu qua kênh Nhiêu Lộc với hai đường Trường Sa - Hoàng Sa 14 ngày trước
- TP.HCM tính làm cầu nhánh từ Hoàng Sa, Trường Sa lên các cầu chính ngang kênh Nhiêu Lộc giảm ùn tắc 14 ngày trước
- Tông trụ đèn, 2 thanh niên tử vong 27 ngày trước
- Du lịch điêu đứng vì chiến sự Trung Đông 27 ngày trước
- Thay tên bão Yagi thành Tomo 1 tháng trước
Tin tức về Xã Hội
- Gần 200 trụ điện chắn giữa đường nối nút giao lớn nhất TPHCM 42 phút trước
- Đợt không khí lạnh sắp tới ở miền Bắc có gây rét nàng Bân? 5 giờ trước
- Phối cảnh đường sắt cao tốc đầu tiên vừa được khởi công 5 giờ trước
- TP HCM sẽ chiếu sáng mỹ thuật công viên 30/4, Tao Đàn 5 giờ trước
- Khoảnh khắc hai tài xế giải cứu bé gái 3 tuổi chạy ra giữa quốc lộ ở TPHCM 5 giờ trước
- Tổng Bí thư, Chủ tịch nước Tô Lâm phát biểu chính sách tại Đại học Thanh Hoa 5 giờ trước
- Tổng Bí thư, Chủ tịch nước Tô Lâm đi tàu cao tốc Trung Quốc 5 giờ trước
- Ô tô Mercedes GLK 250 đâm liên hoàn nhiều xe máy trong khu đô thị ở Hà Nội 6 giờ trước
- Xe khách mất lái lao xuống mương, 9 người thoát nạn 7 giờ trước
- Xe khách mất lái lúc mưa lớn, lật nhào trên quốc lộ 7 giờ trước